🌱 Vecpiebalgas 20, Rīgas rajons, Baloži
1 / 12 ▶












Informācija
€49900
| Tips | zeme |
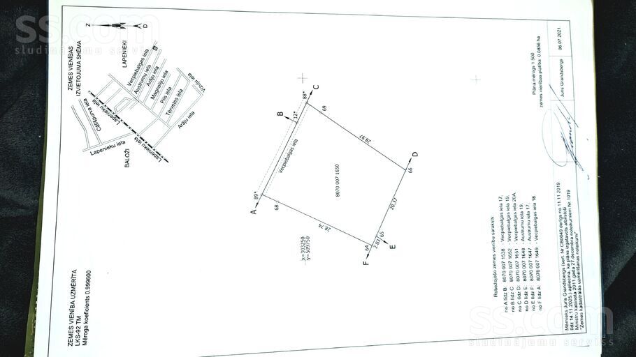
| Adrese | Vecpiebalgas iela 20, Lapenieki, Ķekavas pag., Ķekavas nov., LV-2111 |
| Platība | 856 m² |
| Pielietojums | Zeme privātmājas būvēšanai |
| Kadastra Nr. | 80700071681 |
| Koordinātes | 56.872809, 24.160378 ↗ |
| Publicēts | 18.03.2026 18:26 |
| Avots | ss.com |
Tiek pārdots zemesgabals ar komunikācijām, privātmāju ciematā Lapeniekos, laba atrašanās vieta-klusā un zaļā rajonā, ērta piebraukšana.
Lieliski piemērots privātmājas būvniecibai.
Uz zemes gabala ir pievilkta elektrība un pilsētas ūdens. Blakus uz ielas atrodas gāzes vads. Zemes gabals kvadtrātveida uz kura viegli izvietot mājas projektu. Zemes ar iesāktu mājas projektu, vienstāvu māja L veida 150m2, zems zemes nodoklis.
Pārdod privātpersona vairāk info pa telefonu.